

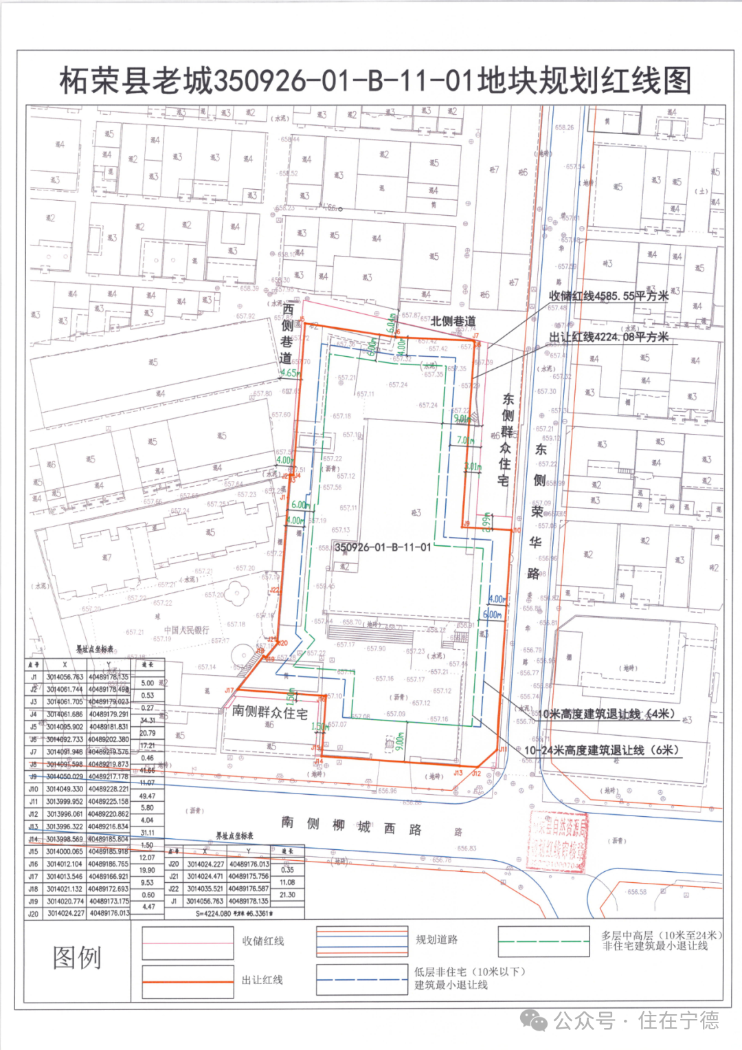
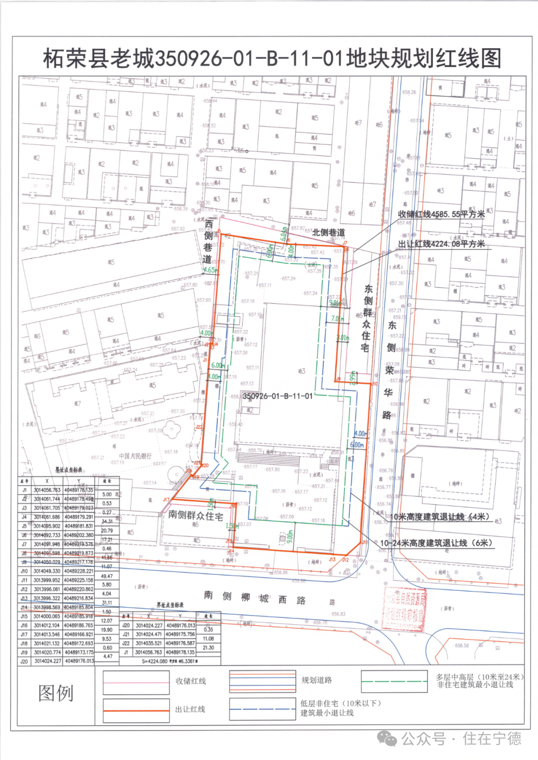
今日,柘荣县宏柳城市建设投资开发有限公司3320万元竞得荣华路以西柳城西路以北的柘拍202502号商业地块。地块面积4224.08平米,容积率1.9,建筑密度不大于50%,绿地率不小于10%,限高24米,起拍价3000万元。






▌来源:“住在宁德”微信公众号
▌图文来源:文章部分文字与图片来源网络,现场请以实物为准,仅供读者参考;
▌免责声明:图片文件等资料版权归版权所有人所有如原作者有异议,请及时通知我们,我们将立即予以解决。
▌关于版权:索罗科技尊重版权,如有侵权,请联系删除
▌商务合作:网站建设、网络营销、品牌推广、活动策划请联系电话:18150866322
