

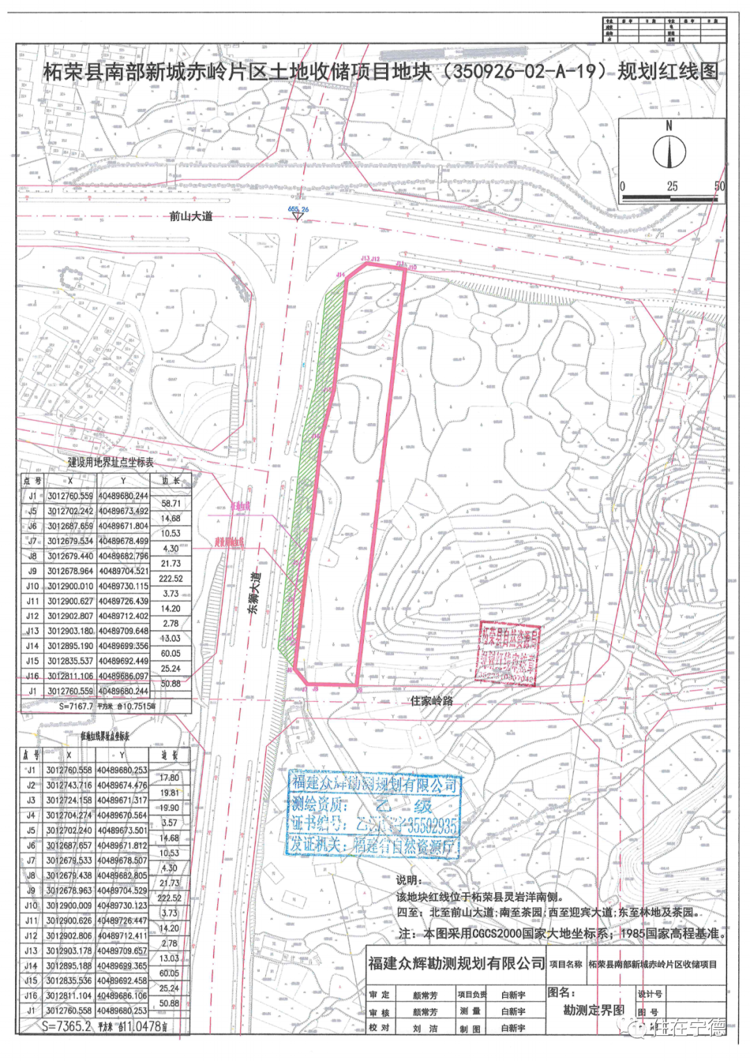
今日开拍的柘荣赤岭片区商服地块吸引了11家报名,其中2家公司9位自然人。经过激烈争夺,最终由自然人吴兴华以3020万元竞得,溢价率87.3%。地块位于双溪镇溪坪社区、城郊乡赤岭村。面积7365.18㎡,其中建设用地7167.67㎡,代征用地197.51㎡。容积率不大于1.8,建筑密度不大于55%,绿地率不小于15%,建筑限高24米。土地用途:商服用地-商业用地(零售商业、批发市场、 餐饮用地、旅馆用地)、商服用地-商务金融用地、商服用地-娱乐 康体用地、商服用地-其他商业服务业用地。起始价1612万元。













▌来源:“住在宁德”微信公众号
▌关于版权:柘荣索罗尊重版权,如有侵权,请联系删除
▌商务合作:新店开张、品牌推广、活动宣传请联系电话:18559875448
